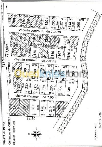
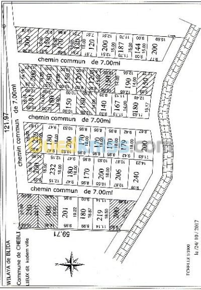
البيت الواسع agrée par l’état

Agence immobilere